About Chuck
I am retired after a career in electronics and in publishing. Today, my wife of 50+ years, Sylvia, and I live in a house on a hill beside a dirt road in rural west Michigan. We enjoy living in this country environment where livestock and wild life out number the human population.
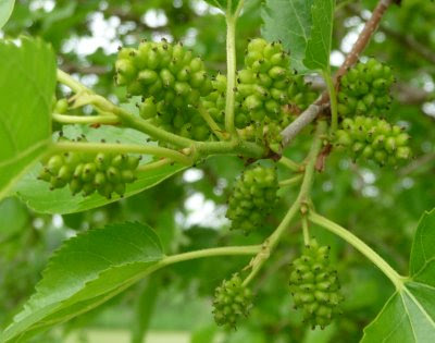
I saw this one late, but I had to comment. Mulberries are my favorite. I usually try to plant a mulberry tree everywhere I live. I don't have one here yet, so I guess I need to get one. I was trying to get a few pictures of some mulberries a month ago but they came out too blurry to post.
I haven't had mulberries in forever! I remember the mulberry trees my friends mom had. There were a ton of mulberries growing on that tree.
They said that's mulberry?? That's the fruits of the yellow leaves i posted to my iTravel blog. http://www.klivengood-iTravel.blogspot.com, But there were only few fruits on our tree but it has the same shape, color and the tastes is sour.
There is a mulberry somewhere around here–the remains of the berries are all over Joe's car. Recycled, if you get my drift.
Too funny! I was going to post just about the same pictures from my tree. Maybe I still will if I can get one of a bird eating some.
Happy summer!
They are just about ready to pick.
mmmmmmm…i want to eat those!
Are those blackberries? YUMMY!!!!!! Haven't had them since I was a kid!
Justine 😮 )
Ooooooh … … muuuuulberiieeeeesss!
Yummmmm.
I miss them soooooo much!